| UAMH Number: | 10571 |
|---|---|
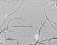
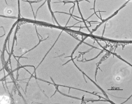
| Species Name: | Phaeoacremonium alvesii |
| Type: | Phaeoacremonium alvesii |
| Synonyms: | |
| Taxonomy: | FUNGI Ascomycota, Sordariomycetes, Togniniales, Togniniaceae |
| Strain History: | CBS 110034 -> UAMH |
| Substrate: | human subcutaneous infection | Location: | BRAZIL (GEO: -11.929,-49.542) |
| Isolator: | |
| Isolation Date: | |
| Date Received: | 2005-06-14 |
| Characters: | MOLECULAR SYSTEMATICS Phaeoacremonium - Mostert et al., J. Clin. Microbiol. 43:1752-1767, 2005 (Click for publications citing UAMH 10571) |
| Compounds: | |
| Cross Reference: | CBS 110034 // CBS H-7958 |
| Collections: | Living Strains; Dried Herbarium Material |
| Pathogenic Potential: | Human: yes | Animal: yes | Plant: yes |
| Biosafety Risk Group: | RG2 (check the PHAC ePATHogen Risk Group Database for updates) |
| Regulatory Requirements: | Canadian requesters must provide PHAC Pathogen and Toxin License Number (see: https://www.canada.ca/en/public-health/services/laboratory-biosafety-biosecurity/licensing-program.html) prior to shipment. International requesters must provide all legally required importation documentation prior to shipment. Plant pathogenicity status may be verified by using the USDA Agricultural Research Service (ARS) Fungal Database |
| MycoBank ID: | 357044 |
| Sequences: | >UAMH10571_AY579234_actin TATGTGCAAGGCCGGTTTCGCCGGTGATGATGCCCCCCGAGCTGTTTTCCGTAAGTTCCCCCCGCATCCGCCAATCTGAGGCTATGGAACTTCTCCAGAGAAAGTCTCGTGGGCCATCATAGAAGCCAAATCTGACCATCGTCTAGCCTCCATTGTCGGTCGCCCCCGTCATCATGGGTAAGTCTCTTCTCCCGCTTATCCGCCGAGCTCTCGCTGACCGCTGTCGCAGTATCATGATCGGTATGGGCCAGAAGGACTCGTA >UAMH10571_AY579301_bTub CCCCTGAGTTACCCCACCATCCGTCACATCACGATCACCTCCCTCGGGAGCTTCGACAACCTCGACGACCCTCGGCCCTGCCCCGAAACCATCGACCAGCTTGCTAACCAGTGTCTCTCATTTCTACAGGTTCACCTCCAGACCGGCCAATGCGTAAGTAGCTATTGCCACTCTCCCGATGCTGAAACACGACTGACGATTTGCAGGGTAACCAAATCGGTGCTGCTTTCTGGTGCGTAGCAACTCGAGTCGGCAAACCGACTCGTGAGGAAGCCGACGCGACATCGATACTGACCTTGGATTTAGGCAAACCATCTCTGGCGAGCACGGCCTCGACAGCAATGGCGTGTATGTGCTAATCGTCTCCATTTCTTCATCGTGATGGTCACCGCTGACACAGATTTAGCTACAACGGCACCTCCGAGCTCCAGCTCGAGCGCATGAGCGTCTACTTCAACGAGGTATGCAGTATTCGATCCCTTTTACCTTCAGCTCGTGATATTTTGATATGGATAGGAGCTAATATTCCCATCCGTAGGCTTCTGGCAACAAGTAT >UAMH10571_AY579284_CAM AGGCCTTCTCCCTCTTCGTGAGTGCCCTCTCTACCATCTACAGCTGCTCGCCTGCTTGTCCGACCGCAGCGCAAGCAAGTTGATCCCGTGCTAACGTGTTCCTCGCGATGCAGGACAAAGATGGCGATGGTTAGTATTGCCTCCTCCCCTCCCAGCCTGCCCGTCAACCAGGCCTGCCCGGACAAACCGATCCCCCTACTTCGAAAGCCACAATGGTCTTGAGGCTGTATACATGGAGATACATATGCTAAGAATGGTGCAGGTCAAATCACCACCAAGGAGCTAGGCACCGTTATGCGATCGCTCGGCCAGAACCCCTCCGAGTCCGAGCTTCAGGACATGATCAACGAGGTTGACGCCGACAACAACGGCACCATTGACTTCCCCGGTACGATACGGCCTGCCCCTCAATCCCCCATCGCCTTGATGTTCCCTCCGACGCTGACCTTGCGGCAGAGTTCCTGACCATGATGGCC >UAMH10571_UAMH_ITS ATTGAATGGCTCAGTGAGGCTTTCGGACTGGCCCAGAGAGGTCGGCAACGACCACTCAGGGCCGGAAAGTTATCCAAACTCGGTCATTTAGAGGAAGTAAAAGTCGTAACAAGGTCTCCGTTGGTGAACCAGCGGAGGGATCATTAACGAGTTTCGTACTCCAAACCCTTTGTGAACATACCTGTTTTCGTTGCTTCGGCAGGTGAAGGCGGACGGCCTCCGGGCCTGAAGCCGCCGCCGGGCGGACCCCTCGCGGGGCGCTGCCGGGTGGGCCTGCCGGAGGGCACAGACTCTGTATTACAACGTACCTCTCTGAGTTATATTTTACAAACAAGTAAAAACTTTCAACAACGGATCTCTTGGTTCTGGCATCGATGAAGAACGCAGCGAAATGCGATAAGTAATGTGAATTGCAGAATTCAGTGAATCATCGAATCTTTGAACGCACATTGCGCCCGCCAGTATTCTGGCGGGCATGCCTGTCCGAGCGTCATTTCAACCCTCAGGCCCTGGTTGCCTGGTGTTGGGGCGCCGCGCACCCTCAGCGGGCGCGGGCCCCGAAAGTCAGTGGCGGGCTCGCCAGGACTCCGAGCGCAGTAATTTTCTCTCGCTGTGGAGCGCCTGGTGGGTTACCGGCCGTAAAACACCCCAAATTCTAAAGGT |