| UAMH Number: | 11241 |
|---|---|
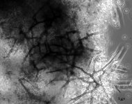
| Species Name: | Oidiodendron myxotrichoides |
| Type: | |
| Synonyms: | |
| Taxonomy: | FUNGI Ascomycota, Leotiomycetes, Helotiales, Myxotrichaceae |
| Strain History: | Vanderwolf, K.J. (Bat 33 C.2) -> UAMH |
| Substrate: | swab, fur of a long ear bat (Myotis septentrionalis) | Location: | CANADA New Brunswick, Hammondvale, Kitts Cave (GEO: 45.57,-65.502) |
| Isolator: | K.J. Vanderwolf |
| Isolation Date: | 2010-02-02 |
| Date Received: | 2010-08-03 |
| Characters: | MOLECULAR SYSTEMATICS Blast match 97% ITS sequence similarity with O. myxotrichoides AJ635314 - fide UAMH 2010 // PIGMENT violet PDA - // PIGMENT violet-brown CER - (Click for publications citing UAMH 11241) |
| Compounds: | |
| Cross Reference: | |
| Collections: | Living Strains; Dried Herbarium Material |
| Pathogenic Potential: | Human: no | Animal: no | Plant: yes |
| Biosafety Risk Group: | RG2 (check the PHAC ePATHogen Risk Group Database for updates) |
| Regulatory Requirements: | Canadian requesters must provide PHAC Pathogen and Toxin License Number (see: https://www.canada.ca/en/public-health/services/laboratory-biosafety-biosecurity/licensing-program.html) prior to shipment. International requesters must provide all legally required importation documentation prior to shipment. Plant pathogenicity status may be verified by using the USDA Agricultural Research Service (ARS) Fungal Database |
| MycoBank ID: | 373697 |
| Sequences: | >UAMH11241_UAMH_ITS CATTACAGAGTTCTCGCCCTACCGGGTAGATCTCCCACCCACTGTTATCGTTACTGTCGTTGCTTTGGCGGGCCGCCGGGCCCTGCCCGGCCGCCGGCTCCGGCTGGCGCGTGCCCGCCAAAGGCCCGCAAACTCTGAATGTTAGTGTCGTCTGAGTACTATACAATAGTTAAAACTTTCAACAACGGATCTCTTGGTTCTGGCATCGATGAAGAACGCAGCGAAATGCGATAAGTAATGCGAATTGCAGAATTCAGTGAGTCATCGAATCTTTGAACGCACATTGCGCCCTGTGGTATTCCGCAGGGCATGCCTGTTCGAGCGTCATTTCAACCCTCAAGCTCTGCTTGGTGTTGGGCCCCGCCCCCGTGGCCGGCCCCAAAGTCAGTGGCGGTGCCGTCCGGCTCTAAGCGTAGTACATCTCTCGCTCCAGGGCCCGGCGGTTGCCTGCCAGAACCCAAACTCTTATGGTTGACCTCGGATCAGGTAGGGATACCCGCTGAACTTAAGCATATCAATAAGCGGAGGA |